Bottling Establishment at Olive & Green Sts, Georgetown D.C.

Company Names & dates:
  Rother's Vinegar Depot, (c1843-1850) 1,2
  Henke & Maack, (1850-1853) 2,3
  Wm N.H. Maack, (1853) 3
  Maack & Arny, (1853-1854) 4,5
  Arny & Shinn, (1854-1862) 5,6
  R.A. Shinn, (1863-1871) 6
  Palmer & Green, (1872-1874) 6
  Saml. C. Palmer, (1875-1892) 6
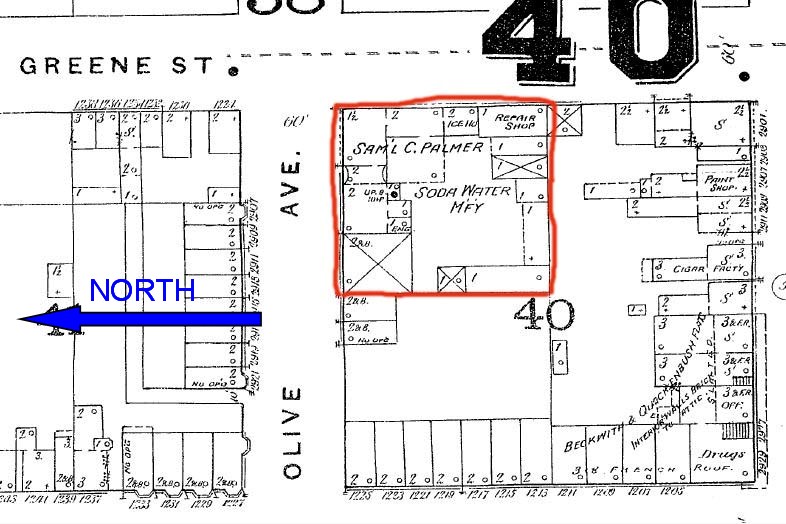
The map above is clipped from an 1888 Sanborn map of Washington DC.
It shows the bottling establishment at the corner of Olive & Green Streets, Georgetown (at the time owned by Saml. C. Palmer).
All of the companies listed above were at that location.
In 1855, street numbers were added, and the address became known as "57 Green Street, Georgetown".
In 1880, Georgtown street names were changed to letters/numbers to fit in with the rest of Washington DC, and "Green Street" was renamed "29th Street", so the address became "1224 29th Street, Washington DC".



Pedigree:

rother_01 J. Rother's Vinegar Depot (c1843-1850)
The building at the corner of Olive & Green Streets started out as Rother's Vinegar Depot. Besides making barrels of vinegar, Rother also bottled mineral water.
The only bottles I know of from Julius Rother are torpedos, similar to the one shown to the left, although they come in different colors. The torpedo bottles were probably manufactured by the Baltimore Glass Works.
henke_01 Henke & Maack (1850-1853)
In August 1850, Rother sold his Vinegar Depot and Mineral Water establishment to Messrs. Henke & Maack2.
The torpedo shown to the left is the only variation of bottle known from Henke & Maack. The torpedo bottles were probably manufactured by the Baltimore Glass Works.
maack_arny_01 Maack & Arny (1853-1854)
In January 1853, Louis Henke dropped out, and it was just William N.H. Maack3.
As early as June of 1853, Maack had teamed up with Charles Arny, and the firm was known as Maack & Arny's Mineral Water Depot4.
The bottle shown to the left is the only variation known from Maack & Arny.
arny_01 Arny & Shinn (1854-1862)
On March 3rd, 1854, Maack dropped out and Riley Shinn came in, so the firm became known as Arny & Shinn5.
Many bottle variations from Arny & Shinn are known. Some have an iron pontil scar, like the one on the left, but most are smooth-based.
shinn_01 R.A. Shinn (1863-1871)
In 1862, Arny retired and the establishment became known as Riley Shinn's Union Bottling Depot6.
The word "union" in the name may have had something to do with the fact that the Civil War was going on. A few bottle variations from R.A.Shinn are known. None of them have iron pontil scars (the age of iron pontil scars seems to have been over by 1863).
palmer_green_01 Palmer & Green (1872-1874)
In 1871 the establishment was taken over by Palmer & Green6.
The bottle to the left is one of 3 known variations that are embossed with "Palmer & Green".
palmer_01 Saml. C. Palmer (1875-1892)
Finally, in 1874, Green dropped out, and it became known as the Samuel C. Palmer bottling establishment until 1892. 6
The bottle to the left is one of many variations of Samuel Palmer bottles. Some say "GEORGETOWN", and some say "WASHINGTON DC". By 1892, Palmer had opened up another beer & soda bottling plant in Georgetown, where his business contined until 1940.



1 (based on the fact that S.C. Palmer bottles said "best since 1843" - it is assumed that his basis for that was that the original bottling company that he purchased had started in 1843)
2 National Intelligencer Newspaper article, Sep 3, 1850 p.3
3 National Intelligencer Newspaper article, Jan 14, 1853 p.1
4 National Intelligencer Newspaper article, Jun 28, 1853 p.1
5 National Intelligencer Newspaper article, Mar 4, 1854 p.2
6 Boyd's Directory for the District of Columbia (various years)


Back to my bottle home page.


This page last updated on September 27, 2020.